



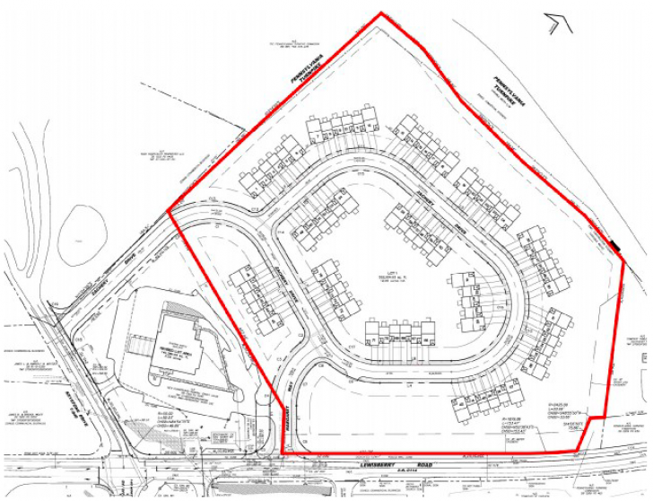
80 unit townhouse development project in a highly desirable area. The property is located in northern York County
near the border of Cumberland County. The property is ideally located near local amenities in New Cumberland,
Camp Hill, and Lemoyne. Access is from Rt. 114 with I-83 and the PA Turnpike nearby.
York County
Fairview Township
15.02 Acres
Land Information
Tax Parcel #27-000-SF-0005-C0-00000
Acres - 15.020 AC
Sq. Ft. - 654,271.2 SF
Frontage -See attached site plan
Utilities & Zoning Information
Water - Public
Sewer - Public
Zoning - RMU - Residential Mixed Use; permits multifamily dwelling, single-family attached dwelling, etc.
Terms - A deposit of 10% will be collected on the day of the auction with the balance due in 45 days. A 10% buyer premium will be added to the final purchase price.


