










Property Tours - Thursday, July 18 and Thursday, August 1 both being at 4 PM SHARP !
Properties are surrounded by the World's Largest Auto Auction - Manheim Auction Auction!
Bidding Process
Round 1: Properties will be offered "individually" and Buyer(s) will have choice.
Round 2: Total price from Round 1 will be calculated. Combinations will now be offered and/or all (6) parcels will be offered as an "entirety".
(Bid price will start no less than 5% higher than the number generated from Round 1)
For Zoning clarifications and uses please click the "DOCUMENTS" tab above.
For any additional questions please contact Matthew Reeser directly from Penn Township.
- Lancaster County, Penn Township
- Manheim Central School District
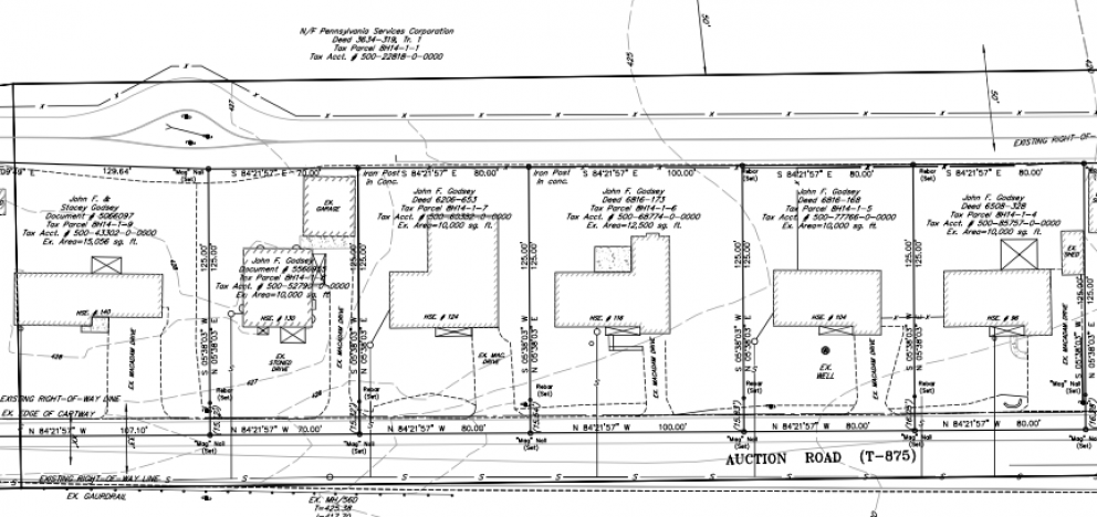
96 Auction Rd. - (PARCEL #1)
- Lot Size - 0.20 Acres (80' x 125')
- Taxes - Approx. $2250
- Tax ID - 500-85757-0-0000
- 2 Dealer Licenses
- $1,000/month (month-to-month)
- Built in 1955
- 1,064 square feet
- 3 bedrooms. 1 full bath.
- Exterior: Metal
- Roof: Shingle
- Heat: Gas
- Central A/C
- Basement: Full
- Public water and Public sewer
104 Auction Rd. - (PARCEL #2)
- Lot Size - 0.20 Acres (80' x 125')
- Taxes - Approx. $2250
- Tax ID - 500-77766-0-0000
- 1 Dealer License (no rental income)
- Built in 1954
- 1,132 square feet
- 4 bedrooms - 1 full bath
- Exterior: Vinyl
- Roof: Shingle
- Heat: Warm, hot air
- Public water and Public Sewer
116 Auction Rd. - (PARCEL #3)
- Lot Size - 0.25 Acres (100' x 125')
- Taxes - Approx. $3300
- Tax ID - 500-68774-0-0000
- 1 Dealer License
- Garage is rented for $2,000/month
- Apartment is rented for $900/month
- Condo is rented for $680/month
- Built in 1954
- 1,916 square feet
- 4 bedrooms. 1 full bath.
- Roof: Shingle
- Heat: Warm, hot air
- Basement: Full
- Storage shed
- Public water and Public sewer
124 Auction Rd. - (PARCEL #4)
- Lot Size - 0.20 Acres (80' x 125')
- Taxes - Approx. $2350
- Tax ID - 500-60382-0-0000
- Currently rented at $2,200/month for an Auto Repair and Detail Shop
- Built in 1954
- 988 square feet
- Attached garage Square Feet: 1,272
- 3 bedrooms. 1 full bath
- Basement: Full
- Exterior: Metal
- Roof: Shing
- Heat: Warm, hot air
- Storage shed
- Public water and Public sewer
130 Auction Rd. - (PARCEL #5)
- Lot Size - 0.17 Acres (70' x 125')
- Taxes - Approx. $2300
- Tax ID - 500-52790-0-0000
- No dealer license
- Garage is rented for $400/month
- Home is rented for $750/month
- Built in 1950
- 1,184 square feet
- 2 bedrooms
- 1 full bath
- Exterior: Metal
- Roof: Shingle
- Basement: Full
- Heat: Oil. Warm, hot air
- Central A/C
- Public water and Public sewer
140 Auction Rd. - (PARCEL #6)
- Lot Size - 0.29 Acres (107' x 125' x 129' x 131')
- Taxes - Approx. $2250
- Tax ID - 500-43302-0-0000
- Vacant - No Dealer License
- Built in 1955
- 1,024 square feet
- Attached garage Square Feet: 520
- 3 bedrooms. 1 full bath
- Basement: Partial
- Exterior: Vinyl
- Roof: Shingle
- Heat: Warm, hot air
- Central A/C
- Storage shed
- Public water and Public sewer
For Zoning Questions - Please contact
Matthew Reeser - Penn Township Building Code Official
zoning@penntwplanco.org or 717-665-4508
Most forms and applications can be found at www.penntwplanco.org
TERMS - A deposit of 10% will be collected on the day of the auction with the balance due within 45 days. A 10% Buyer's Premium will be added to the final purchase price to be paid by Buyer(s). All parcels sold AS IS, WHERE IS with NO CONTINGENCIES. Buyer(s) responsbile for 2% PA transfer tax and deed preparation. Properties will be offered by choice. First buyer could take all six or they could be sold individually and also offered as a combination.


