







Online Only Auction - Register through the Fortna Auctioneers APP on your Smartphone to register to bid!
- Very well placed building lot that backs up to the 6th tee-box of the new 9 hole executive course. Golf, Skiing, Pools & year round recreation!
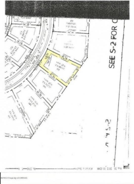
- Eagle Rock Resort
- (+/-) 0.27 Acres
- Hazelton School District
- Parcel Number: 26-U5S15-001-431
- Taxes approx. $600/year
Call Fortna Auctioneers at 1.855.831.4242 with any questions. Property is being sold "Subject to Confirmation".
Terms: At the conclusion of the timed auction, the seller will have the right to accept or reject final bid price. If final bid price is Approved, buyer(s) will be notified and credit card will be charged the 10% down required deposit along with the processing fee. A $5,000 Buyer(s) Fee will be applied to the final sale price to be paid by the Buyer(s). Buyer(s) responsible for the 2% transfer tax imposed by Pennsylvania.
Directions - Rt 81 to 924S into Eagle Rock Resort. Straight on Country Club Rd, R on PineValley, L on Turnberry, R on ScotsPine, L on Sweet Birch Dr, L on Honeysuckle, lot on Left.






